宫颈癌(CC)作为quan球女性第四大高发癌种,晚期患者面临着残酷现实:免疫检查点阻断(ICB)治疗响应率不足 20%,肿瘤微环境(TME)的 “免疫荒漠" 状态,成为制约治疗效果的核心瓶颈。近期,《Molecular Cancer》(IF=33.9)一项重磅研究,首ci揭开 CD54+ iCAFs 与 ITGAL + 巨噬细胞 “联手" 抑制免疫的神秘面纱,而 Absin 核心产品全程护航关键实验,成为这场科研突破的 “硬核助手"!
文献标题:Integrated multi-omics identifies a CD54+iCAF-ITGAL+ macrophage niche driving immunosuppression via CXCL8-PDL1 axis in cervical cancer
发表期刊:Molecular Cancer(IF 33.9)
DOI:https:/ /doi.org/10.1186/s12943-025-02471-y
核心试剂:多重荧光免疫组化试剂盒、Brefeldin A、Ionomycin



研究团队以 “破解免疫耐药" 为目标,搭建了一套 “精准定位 - 机制拆解 - 疗法验证" 的黄金研究框架,层层突破:
单细胞 “猎捕" 关键细胞:对 77,221 个宫颈癌 / 正常宫颈细胞进行 scRNA-seq,从海量细胞中锁定 “元凶"—— 肿瘤特异性 CD54 + 炎症相关成纤维细胞(iCAFs),其高表达直接预示患者更差预后;
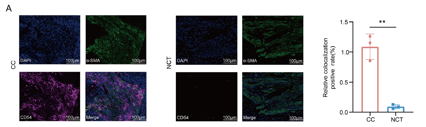
空间组学 “锁定" 免疫抑制龛:通过多重免疫组化(mIHC)和空间转录组技术,“看到" CD54+ iCAFs 与 ITGAL + 巨噬细胞在肿瘤 - 基质界面 “抱团",形成致密的免疫抑制 “堡垒";
体内外 “拆解" 作用通路:用细胞共培养、基因沉默 / 过表达、中和抗体阻断等实验,一步步摸清 “CD54+ iCAFs 分泌 CCL2→诱导 ITGAL + 巨噬细胞变 “坏"(M2 极化)→分泌 CXCL8→上调 PD-L1→压制 CD8+ T 细胞" 的完整 “作恶链条";
治疗 “验证" 新方案:用 CXCL8 抑制剂 reparixin “打断" 信号轴,再联合 PD-L1 抗体,成功 “唤醒" CD8+ T 细胞,实现 1+1>2 的抗瘤效果。


找到 “预后预警信号":CD54+ iCAFs 是宫颈癌te有的 “坏" stroma 细胞!其在肿瘤中的高浸润,与患者总生存期缩短显著相关,未来可作为预后判断的新标志物;
揭开 “免疫抑制堡垒" 形成机制:CD54+ iCAFs 与 ITGAL + 巨噬细胞靠 “双重手段" 勾结 —— 一方面通过 CD54-ITGAL 直接 “握手"(接触依赖),另一方面分泌 CCL2 “远程操控",共同将巨噬细胞变成 “免疫抑制兵"(M2 样表型);
锁定 “可靶向治疗轴":M2 样巨噬细胞会分泌 CXCL8,通过自分泌 “恶性循环" 上调自身 PD-L1,最终让 CD8+ T 细胞 “缴械投降";而用 reparixin+PD-L1 抗体联合治疗,能显著恢复 CD8+ T 细胞的 “杀伤力",抑制肿瘤生长。



该研究的核心验证实验中,Absin 多款产品成为 “关键先生",从组织定位到细胞功能检测,全程保障实验结果的可靠性:
对应原文图片:图 2A(CD54 与 α-SMA 共定位)、图 3G/3H(ITGAL + 巨噬细胞表型 & 定位)、图 6D(CXCL8 在巨噬细胞表达)



产品 “高光时刻":
一次染色就能同时 “看到" CD54、α-SMA、ITGAL 等多个靶点,清晰捕捉到 CD54+ iCAFs 与 ITGAL + 巨噬细胞在肿瘤 - 基质界面的 “抱团" 现象,为 “免疫抑制龛" 提供直接视觉证据;
精准定位 CXCL8 的 “来源"—— 明确其只在 ITGAL + 巨噬细胞中高表达,帮研究团队敲定 “巨噬细胞是 CXCL8 主要分泌者" 这一关键结论;
兼容临床 FFPE 样本,轻松对接患者组织,让基础研究结果能直接关联临床预后。
对应原文图片:图 8B(IFN-γ/TNF-α 分泌)、图 8C(CD107a/GZMB 表达)、图 8F(联合治疗后 T 细胞功能恢复)

产品 “高光时刻":
这对 “黄金搭档" 是检测 T 细胞功能的 “标配工具"——Brefeldin A 阻止细胞因子分泌到胞外,Ionomycin 激活钙信号促进细胞因子产生,二者联用能高效 “逼出" CD8+ T 细胞内的 IFN-γ、TNF-α 等 “抗瘤wu器";
帮研究团队清晰证明:reparixin+PD-L1 抗体联合治疗后,CD8+ T 细胞分泌的 “wu器"(IFN-γ、GZMB)显著增多,细胞毒性大幅提升;
产品纯度≥98%,活性稳定,多次重复实验结果一致,为数据可靠性 “保驾护航"。
| Absin 产品 | 原文图片 | 图片核心信息 | 产品核心价值 |
|---|---|---|---|
| 多重免疫组化试剂盒 | 图 2A | CD54+ iCAFs 在宫颈癌 stroma 中高表达,正常组织罕见 | 多靶点同步染色,快速区分肿瘤 / 正常组织差异 |
| 多重免疫组化试剂盒 | 图 3H | CD54+ iCAFs 与 ITGAL + 巨噬细胞在肿瘤 - 基质界面共定位 | 直观验证 “细胞抱团" 现象,确认免疫抑制龛位置 |
| 多重免疫组化试剂盒 | 图 6D | CXCL8 特异性表达于 ITGAL + 巨噬细胞 | 锁定 CXCL8 来源,支撑通路关键环节 |
| Brefeldin A + Ionomycin | 图 8B | 联合治疗后 CD8+ T 细胞分泌 IFN-γ/TNF-α 显著增加 | 精准检测 T 细胞功能恢复,验证治疗效果 |
| Brefeldin A + Ionomycin | 图 8F | 联合治疗组 GZMB+ CD8+ T 细胞比例提升 30%+ | 量化 T 细胞 “杀伤力",为联合疗法提供数据支撑 |
肿瘤微环境研究的核心难点在于 “看不见、测不准"—— 而 Absin 的多重免疫组化试剂盒能帮你 “看清" 细胞空间位置,Brefeldin A/Ionomycin 能帮你 “测准" 免疫细胞功能,二者搭配可轻松应对:
细胞共定位验证(如 stroma 细胞与免疫细胞互作);
免疫细胞功能检测(如 T 细胞细胞因子分泌、细胞毒性);
临床样本标志物筛查(如预后相关蛋白表达)。
这场宫颈癌免疫机制的突破,不仅为患者带来新的治疗希望,更证明了 “优质工具 + 清晰思路" 是科研成功的关键。Absin 作为生命科学百宝箱,为更多科研突破 “赋能"!
| 货号 | 名称 | 规格 |
|---|---|---|
| abs50013 | 五色多重荧光免疫组化染色试剂盒(鼠兔通用二抗) | 20T/50T/100T |
| abs810012 | Brefeldin A | 10mg/50mg |
| abs44063627 | 离子霉素 | 1mg/5mg |

Absin产品线:
爆款产品:十da试剂盒(mIHC、IHC、凋亡、ELISA、ChIP、Co-IP、生化检测、残留检测、多因子检测);细胞培养(类器官试剂盒+基质胶,胎牛血清+培养添加剂+细胞因子)、分化试剂盒;分子(mRNA合成服务+提取试剂盒);化合物大包装;辅助试剂、耗材/仪器、定制服务(抗体/多肽/蛋白/标记/检测)...
特色产品:鸡胚提取物CEE、B27、N2、霍乱毒素B亚单位CTB、牛脑垂体提取物BPE、百日咳毒素PTX、重组人胰岛素Insulin、人源低密度脂蛋白LDL...